Helaas, dit pand is verkocht

8500 Kortrijk

Omschrijving

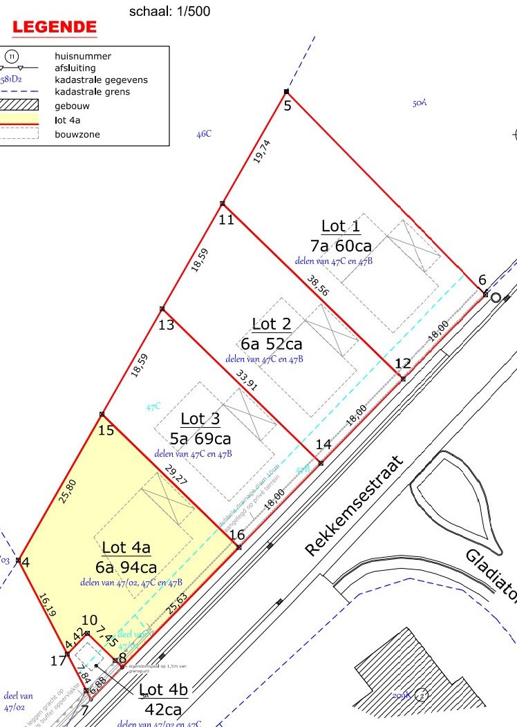
Perceel bouwgrond van 694 m² voor open bebouwing!

Perceel bouwgrond van 694 m² met ruime bouwvoorschriften gelegen in het gegeerde Marke.
Dit perceel is geschikt voor een nieuw te bouwen open bebouwing zonder bouwverplichting.

Praktische info:

-Maximum bouwdiepte gelijkvloers: 11m
-Maximum bouwdiepte verdieping: 11m
-Maximum 2 volle bouwlagen met plat dak of hellend dak
-Mogelijkheid om een kantoor/handelsruimte te integreren in de woning
-Mogelijkheid tot het plaatsen van een carport langs de zijkant van de nieuwbouw
-Plaatsing van een bijgebouw in de tuin is toegestaan met een max. oppervlakte van 40m²
- Zwembad mogelijk
- Vrij zicht achteraan.

Geen bouwverplichting!

Tevens nog beschikbaar:
Lot van 760 - 652 - 569 m² in dezelfde kleinschalige verkaveling.

Wenst u de uitgebreide bouwvoorschriften & plannen digitaal te ontvangen?
Contacteer Jasper: 0479/27 71 92 of Jasper@immopottelberg.be


Niet gevonden wat u zocht? Schrijf u dan vrijblijvend in en blijf op de hoogte van ons recentste aanbod.
Schrijf u in
U gebruikt een verouderde browser. Upgrade nu naar een moderne browser om ten volle gebruik te kunnen maken van alle functies van onze site:
Chrome |  FireFox |  Opera |  Safari |  Microsoft Edge
Terug naar boven
Sluit menu Immo Pottelberg