Helaas, dit pand is verkocht

Perceel bouwgrond nabij het centrum van Bellegem - 8510 Bellegem

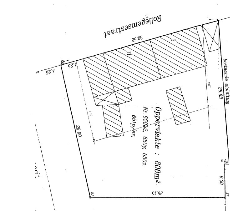
Omschrijving

Perceel bouwgrond nabij het centrum van Bellegem met 2 af te breken oude woningen.
Grondoppervlakte: 808m², geschikt voor alleenstaande woning of twee koppelwoningen.
Perceelbreedte +/- 32m.

Woning nr. 11: Epc 844 UC: 838435
Woning nr. 9 : geen verwarmingselementen aanwezig.

Voor meer info: P. Wynant 0475/250 980


Niet gevonden wat u zocht? Schrijf u dan vrijblijvend in en blijf op de hoogte van ons recentste aanbod.
Schrijf u in
U gebruikt een verouderde browser. Upgrade nu naar een moderne browser om ten volle gebruik te kunnen maken van alle functies van onze site:
Chrome |  FireFox |  Opera |  Safari |  Microsoft Edge
Terug naar boven
Sluit menu Immo Pottelberg